На Филиппины обрушился сильнейший тайфун
Виртуальный мемориал погибших борцов за украинскую независимость: почтите Героев минутой вашего внимания!

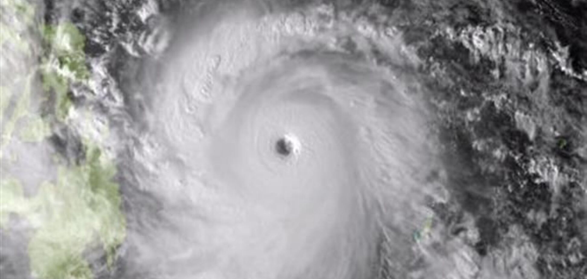
Сильнейший тайфун "Хаян" (Haiyan) обрушился на центральные Филиппины. Тайфун, которому присвоена высшая категория по шкале ураганов Саффира — Симпсона, обрушился на острова Самар и Лейте, расположенные в центральной части Филиппинского архипелага. Скорость ветра в нем, по разным оценкам, составляет от 76 до 105 метров в секунду. Высота волн, поднятых ураганом, достигает 4-5 метров.
Из опасной зоны эвакуировано более 125 тысяч человек. По данным Reuters, в убежищах находятся в общей сложности около миллиона человек. Данных о количестве пострадавших от стихии пока нет, пишет Лента.Ру
Читайте: Население Филиппин эвакуируют из-за приближающегося тайфуна
В ожидании тайфуна в центральных провинциях Филиппин были закрыты школы, офисы и магазины. Отменено около 200 авиарейсов, приостановлено паромное и автобусное сообщение. Армия и службы спасения приведены в состояние готовности.
Сообщается также о приготовлениях к шторму в столице Филиппин Маниле. Хотя город не лежит на пути тайфуна, в его районе ожидается ветер свыше 25 метров в секунду и сильные дожди.
По прогнозам метеорологов, "Хаян" покинет территорию Филиппин в субботу, 9 ноября, выйдет в Южно-Китайское море и направится к Вьетнаму и Лаосу.
"Хаян" стал самым сильным тайфуном в 2013 год, обогнав тайфун "Усаги", который обрушился на север Филиппин и на юго-восток Китая в сентябре. Скорость ветра в "Усаги" достигала 66 метров в секунду.
В среднем за год на Филиппины обрушивается около 20 тайфунов, многие из которых вызывают сильные разрушения и приводят к гибели людей. В декабре 2012 года жертвами урагана "Бофа" стали более тысячи человек.










