В Атлантиці сформувався ураган "Леслі"

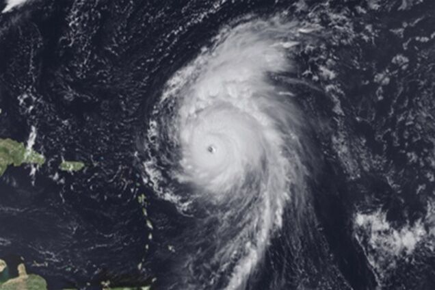
Ураган "Леслі" сформувався в Атлантичному океані, але поки знаходиться далеко від суші, повідомляє Центр по вивченню ураганів США.
Таким чином, "Леслі" став шостим ураганом, що утворився в Атлантиці за поточний рік. Вона знаходиться в приблизно 750 кілометрах від Бермудських островів, передає Інтерфакс-Україна .
Швидкість вітру в радіусі дії урагану становить 120 кілометрів на годину.
Нагадаємо, 29 серпня потужний ураган "Айзек" обрушився на місто Новий Орлеан в американському штаті Луїзіана.
Ураган пошкодив захисні протипаводкові споруди , що викликало підтоплення частини міської території.
Повідомляється про те, що у зв'язку з ударом стихії з районів, яким загрожує повінь, були евакуйовані жителі.
Президент США Барак Обама наказав підготувати південні штати до наслідків стихійного лиха .










